Sécuriser l'école maternelle

12.11.2012

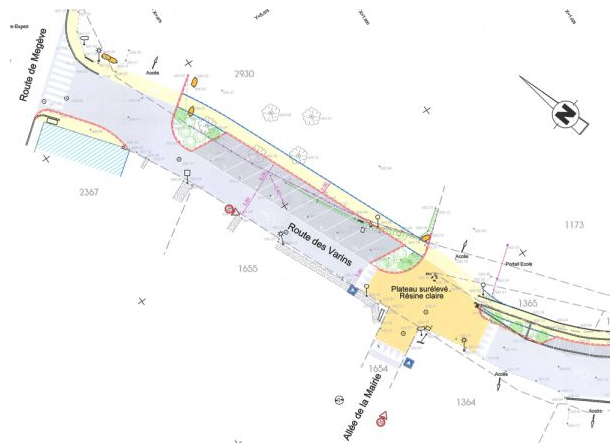
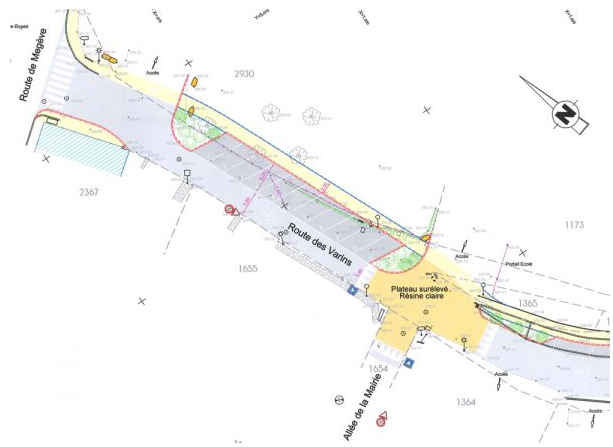
Trottoir, plateau surélevé pour ralentir les voitures, stationnements supplémentaires... le Conseil municipal a approuvé des travaux qui amélioreront largement les environs de l’école maternelle.

Lors du Conseil Municipal d’octobre, les élus ont approuvé l’acquisition d’une centaine de mètres carrés appartenant aux consorts Marin-Lamellet, aux abords de la route des Varins.

Cette bande de terrain va permettre la réalisation d’aménagements destinés à améliorer la sécurité des familles sur les abords de l’école maternelle. Jusque là, le tronçon de la route des Varins allant de la RD 1212 à l’école ne disposait pas de trottoir. Cette absence sera réparée dès l’année prochaine, permettant ainsi aux piétons de circuler en toute sécurité jusqu’à l’école et au delà puisque ce nouveau trottoir fera la jonction avec celui existant plus bas, en direction du cabinet médical.

La municipalité va aussi augmenter le nombre des stationnements à cet endroit. Enfin, un plateau surélevé sera construit sur la route, à la hauteur de l’école, afin de ralentir les voitures.

Une première esquisse du projet est disponible en bas de cet article pour mieux se rendre compte des aménagements possibles.

Autant de nouveaux éléments qui vont améliorer la sécurité de l’école maternelle.

Il est à noter que la municipalité vient d’engager, ce mois-ci, un cabinet pour réaliser l’étude technique de réalisation d’un plateau surélevé et l’embellissement de la place de l’église. Trois scénarios seront présentés en début d’année afin que les élus puissent se prononcer sur les choix à mettre en œuvre sur ce site stratégique du village.